27 Agosto 2020, 12:42
Actualizado 27 Agosto 2020, 12:42

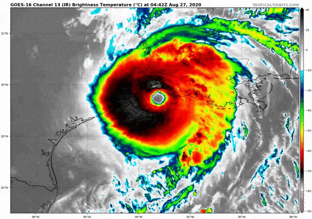
Es el primer huracán de categoría 4 que se forma este año en el Atlántico. En la lista de huracanes para esta temporada tocaba nombre femenino, Laura. Durante los últimos días, a medida que se desplazaba por el Caribe donde también dejó importantes daños, Laura ha ido cogiendo fuerza hasta llegar a 4 en la escala de 5. Ha tocado tierra al amanecer en España del jueves, 27 de agosto, y ha entrado a Estados Unidos por el estado de Louisiana.

Huracán Laura
Huracán Laura ha tocado tierra por el estado de Louisiana

Que un huracán alcance esa magnitud implica que el viento sostenido que se ha registrado sea de 240 km/h. No rachas de viento, sino viento sostenido. Nos podemos imaginar un tren pasando por delante de nosotros a esa velocidad para hacernos una idea. Además del viento, que es uno de los aspectos más devastadores a este tipo de ciclones, las precipitaciones también son muy intensas. En algunos casos se superarán más de 250 l/m2 en los estados de Louisiana, este de Texas y Arkansas.

Lluvia Laura
Precipitación prevista en la trayectoria del huracán Laura

Hay que añadir el fenómeno de marejada ciclónica. El nivel del mar aumenta anormalmente por efecto del viento del ciclón cuando llega a tierra y por la bajada de presión de la tormenta. En este caso se espera que el mar se adentre hasta 60km, y que hasta dentro de unos días no baje a su nivel normal. Hay que destacar que es en las paredes del huracán donde el viento y la lluvia suelen ser más intensos. La parte más afectadas corresponde a las áreas por donde pasan el ojo.

Se superarán más de 250 l/m2 en los estados de Louisiana, este de Texas y Arkansas

Laura ha perdido fuerza a lo largo de esta mañana y se encuentra ya en categoría 3. La tendencia es que a medida que avance el jueves, y los próximos días, vaya bajando de categoría y los efectos que deje sean cada vez menos adversos. El viernes, 28 de agosto, ya se convertirá en tormenta tropical y posteriormente en depresión tropical. En ese momento ya se dirigirá hacia el este de Norteamérica hasta que vuelva al Atlántico para la próxima semana.

trayectoria laura
Trayectoria prevista del huracán Laura

Los reportes de los medios estadounidenses

Es conocido por todos la intensidad que, normalmente, le ponen los estadounidenses a los eventos. Es una zona del continente donde los fenómenos meteorológicos adquieren gran importancia con consecuencias de alta magnitud. Tienen una imagen increíble para reportarlos, y eso a los medios les gusta mucho. Aunque a veces se comprometan con su propia vida, les apasiona contarlo en primera línea, como en este video del canal "Weather Channel"

 

La tormenta perfecta

¿Os acordáis de la famosa “tormenta perfecta”? Tuvo lugar hace mucho tiempo, en 1856. Esa fue la última vez que el estado de Louisiana se vio afectada con los vientos tan fuertes como el de Laura. Desde entonces no se registraban los fenómenos adversos que han tenido lugar estas últimas horas. Aquel ciclón se conoce como “Great storm”, pero su nombre fue “Last Island hurricane”

Más Información
Imagen
Imagen satélite de la tormenta tropical Gonzalo

El polvo del Sahara condiciona la formación de huracanes